Reconstructive Rhinoplasty鼻部重建手術

鼻部腫瘤切除 Nasal Tumor

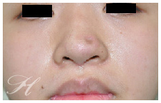
J小姐鼻頭皮下腫瘤困擾其多年,每次想到因為切除腫瘤後鼻頭要留下一條疤痕就裹足不前。我利用鼻外手術法(Open Rhinoplasty)的原理,將原本需切在鼻頭上明顯的疤痕轉移到不容易觀察到的鼻小柱(Columella),不僅完整地移除了鼻頭的腫瘤,也因為利用鼻外手術法可以修補因為腫瘤壓迫而變形的下鼻翼軟骨(Lower Lateral Cartilage)同時兼顧重建和美學的概念,完整地還原了她的鼻子。


- - 手術效果因人而異,上圖為該案例實際術後成效 - -