K小姐因為鼻整形後產生嚴重的鼻部感染造成鼻頭嚴重的變形。蕭彥彰主任利用自體的耳朵軟骨及耳朵複合組移植( Condral-Dermal Composite Graft)。將嚴重內縮的右側鼻翼及變形的左側鼻翼調教到對稱的形狀。解決了她嚴重的鼻頭變形。


- - 手術效果因人而異,上圖為該案例實際術後成效 - -
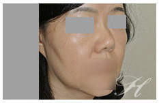
S女士,因為多年前的鼻整形加上矽膠注射引起鼻樑疤痕攣縮導致短鼻(朝天鼻)(Short nose)的發生,從鼻根部到鼻尖的長度小於臉長的三分之一及鼻唇角大於一百零五度。蕭醫師審慎評估病患因前次鼻部整形所造成的問題做詳細的規劃,評估病患可提供的移植物(由於耳軟骨和鼻中隔軟骨常在第一次鼻整形已被取出)。因此,利用鼻外手術法,移除變形的矽膠植入物,移除攣縮的疤痕組織,再利用自體軟骨重新架構起完整的鼻部框架,以拉長縮短的鼻子。最後再利用I 型的人工鼻模,讓鼻樑到鼻頭的線條順暢。改善朝天鼻,使得鼻唇角度從大於一百零五度,到最理想的角度。
- - 手術效果因人而異,上圖為該案例實際術後成效 - -