Aesthetic Rhinoplasty鼻部美容手術

短鼻(朝天鼻) Short Nose

定義 Definition:

鼻根部到鼻尖的長度小於臉長的三分之一或是鼻唇角大於一百零五度。原因多為天生或多次手術疤痕攣縮導致。


手術原則:

採用鼻外手術法(Open Rhinoplasty)移除鼻內攣縮疤痕,分離上下側鼻軟骨,採用自體軟骨移植,尾部加長楔形移植(Caudal Extended Spreader Graft),藉以延長鼻子長度,對於嚴重之短鼻病患,建議以自體肋軟骨為素材,以達到較佳的鼻子延長效果。



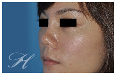
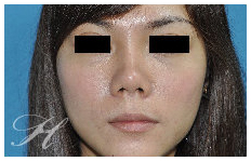
- - 手術效果因人而異,上圖為該案例實際術後成效 - -


- - 手術效果因人而異,上圖為該案例實際術後成效 - -

K女士接受至少5次的鼻整形,利用各種材料進行隆鼻也包括自體肋骨軟骨。但是都沒有辦法改善它的短鼻和皮膚的凹陷,因此蕭醫師再次利用自體肋軟骨進行鼻整形。將其舊有的所有移植物移除,徹底移除疤痕。再利用自體肋骨進行短鼻的調整,鼻型的重塑.達到較為合理的鼻型。